Severe Tropical Cyclone Pam and Climate Change

Severe Tropical Cyclone Pam and Climate Change

Mon March 23rd, 2015
Kerry Emanuel

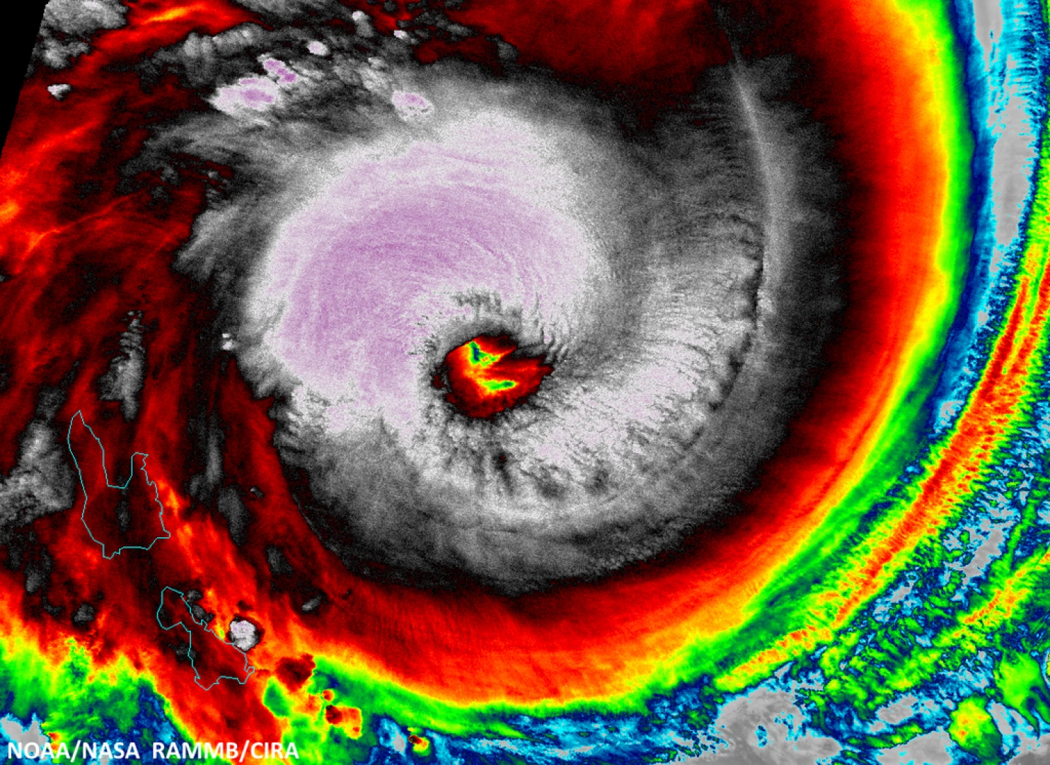
Enhanced infrared satellite image of Tropical Cyclone Pam. (Credit: NOAA/NASA, RAMMB/CIRA)Earlier this month, Cyclone Pam—one of the strongest tropical cyclones on record in the South Pacific—hit the island nation of Vanuatu, leaving more than 20 people dead and massive destruction in its wake. In its coverage of the disaster, the Washington Post featured an article penned by PAOC's own Kerry Emanuel for RealClimate, an online publication by climate scientists for the interested public and journalists.

In the article, Emanuel examines climate change's possible role in this and other extreme weather events, coming to the conclusion that "while Pam and Haiyan, as well as other recent tropical cyclone disasters, cannot be uniquely pinned on global warming, they have no doubt been influenced by natural and anthropogenic climate change and they do remind us of our continuing vulnerability to such storms."

Read the Washington Post coverage and Kerry's original article, here